Pages

Friday, October 23, 2015

Google Alert - in

Google
in
As-it-happens update October 23, 2015
NEWS
The Guardian
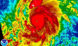
"Patricia is now the strongest ever hurricane to hit the eastern north Pacific region," WMO spokeswoman Clare Nullis told a UN briefing in Geneva, ...
Google Plus Facebook Twitter Flag as irrelevant
Telegraph.co.uk
When you have a TMO in the background, the referees end up getting more things wrong because they are not as decisive. It breeds doubt which by ...
Google Plus Facebook Twitter Flag as irrelevant
The Guardian
The healthcare worker who sharply criticized being quarantined at a New Jersey hospital last year because she had contact with Ebola patients in ...
Google Plus Facebook Twitter Flag as irrelevant
WEB
Mexico's West Coast in Grave Danger as 'Potentially Catastrophic'
Hurricane Patricia is now a "potentially catastrophic," scale-topping category five hurricane with maximum winds of 185 MPH. This is a rare scenario in ...
Google Plus Facebook Twitter Flag as irrelevant
You have received this email because you have subscribed to Google Alerts.
RSS Receive this alert as RSS feed
Send Feedback
ShareThis

No comments:

Post a Comment