Pages

Saturday, September 15, 2018

Google Alert - in

Google
in
As-it-happens update 15 September 2018
NEWS
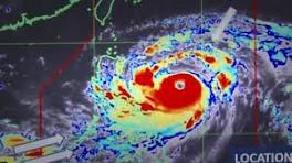
Super Typhoon Mangkhut is expected to threaten China's Guangdong coastline, and Hong Kong, with a possible direct strike that may cause as much ...
Google Plus Facebook Twitter Flag as irrelevant
You have received this email because you have subscribed to Google Alerts.
RSS Receive this alert as RSS feed
Send Feedback
ShareThis

No comments:

Post a Comment